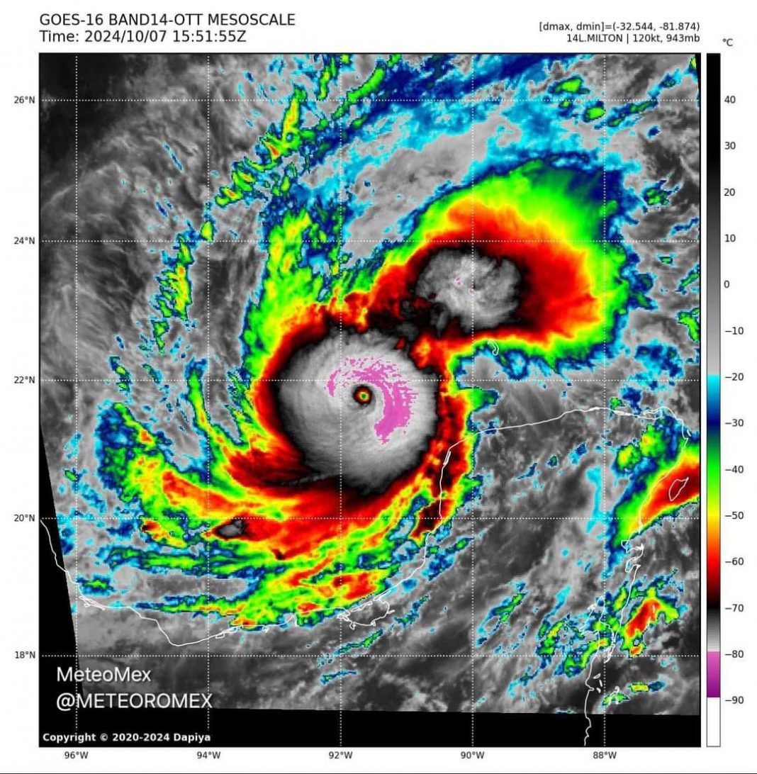
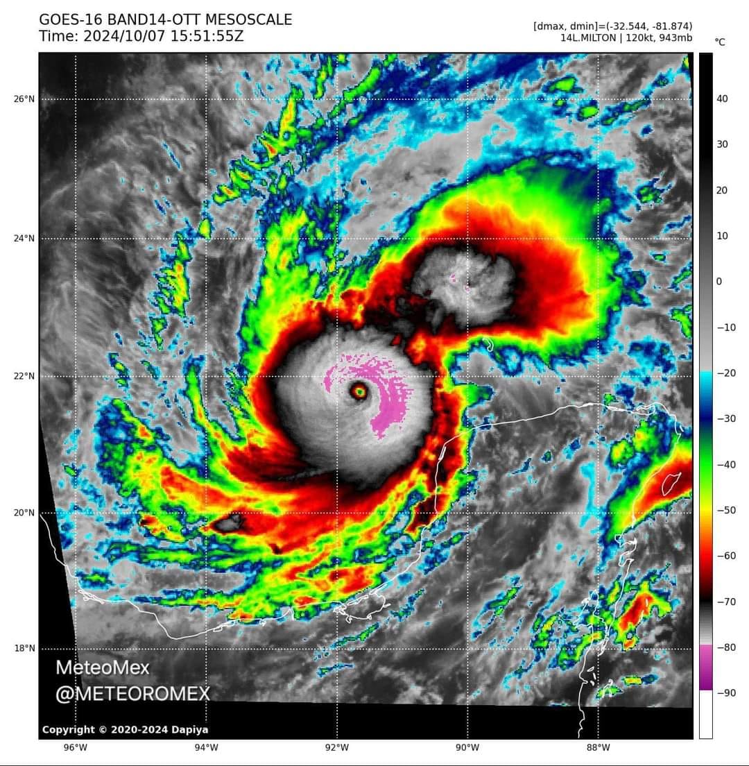
De acuerdo con un análisis del avión cazahuracanes, Milton registra vientos sostenidos de 260 km/h con rachas superiores a 300 km/h, por lo que ahora es un huracán potecialmente catastrófico.
El huracán se aproxima a la Península de #Yucatan, por lo que los habitantes de la costa deben iniciar medidas de evacuación.
Elaboró:Lic. Alexis Campos Esquivel
MeteoMex







